日本荒金大琳编著《雁塔圣教序にす关ゐ记录》,帖与原石对照单字笔画分析图片260张。
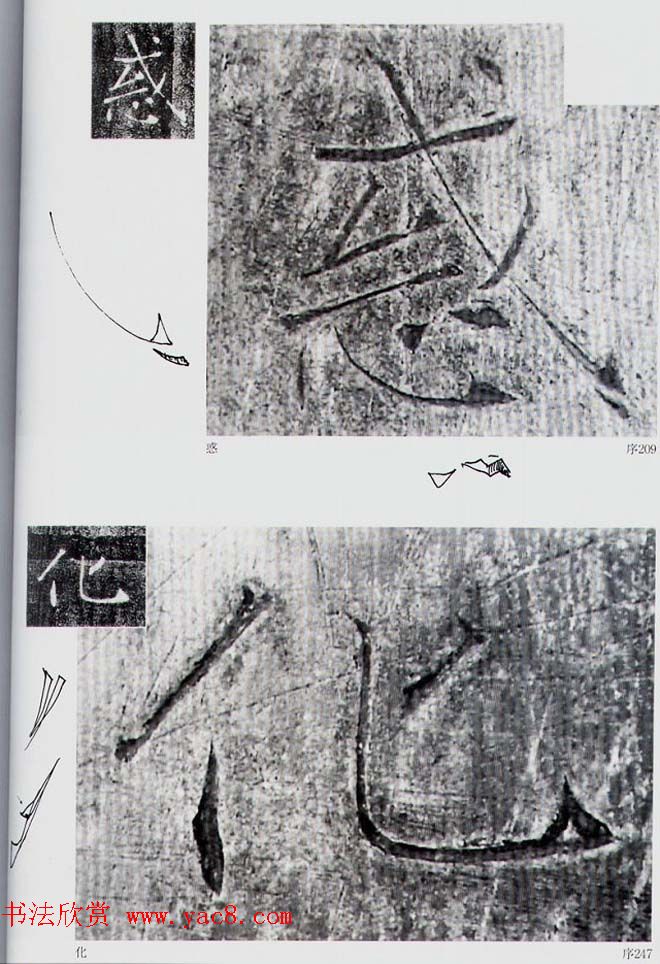
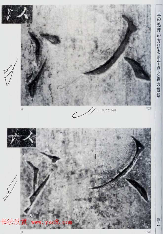
荒金大琳、荒金治父子的《雁塔圣教序》研究在最近的书法史研究中是颇令人震动的发现,长达十余年专注的研究,以及不懈的考察和努力,最终有了这样一系列的研究成果和这样的一套独特的字帖,原碑的高倍放大图片解密了唐代书法史上的一个重要发现--褚遂良的《雁塔圣教序》、《雁塔圣教序记》竟有如此多的笔画修改,后人临习千年的字帖竟孕育着诸多谜团。相信每个热爱和从事书法史研究的朋友都会从此中寻到收获。


































































日本荒金大琳编著《雁塔圣教序にす关ゐ记录》,帖与原石对照单字笔画分析图片260张。
荒金大琳、荒金治父子的《雁塔圣教序》研究在最近的书法史研究中是颇令人震动的发现,长达十余年专注的研究,以及不懈的考察和努力,最终有了这样一系列的研究成果和这样的一套独特的字帖,原碑的高倍放大图片解密了唐代书法史上的一个重要发现--褚遂良的《雁塔圣教序》、《雁塔圣教序记》竟有如此多的笔画修改,后人临习千年的字帖竟孕育着诸多谜团。相信每个热爱和从事书法史研究的朋友都会从此中寻到收获。




































































微信公众号

微信小程序

广西公共图书馆